Die Masterplanung «Liegenschaften der Gemeinde Staufen» liegt vor. Architekt Martin Stierli hat die Grundlagen dazu gesichtet, diese bearbeitet und aufbereitet. Er wird seine Resultate dem Gemeinderat präsentieren. Die Masterplanung besteht aus zwei Teilen:
- Masterstudie Liegenschaften
- Machbarkeitsstudie Sporthalle
Die Masterstudie beschreibt für jede Liegenschaft im Eigentum der Gemeinde:
- die Lage/Geschichte,
- die Entwicklung/ das Potenzial
- die Probleme/Risiken/Fragen
Die Machbarkeitsstudie wird aufzeigen:
- die Entwicklungsmöglichkeiten des Schulareals und
- verschiedene mögliche Standorte der geplanten Doppel-Sporthalle
Sie werden am Informationsabend vom 22. Januar 2019 direkten Einblick in die Resultate der Masterplanung erhalten. Zusätzlich werden die Resultate auf diesem Blog danach veröffentlicht.
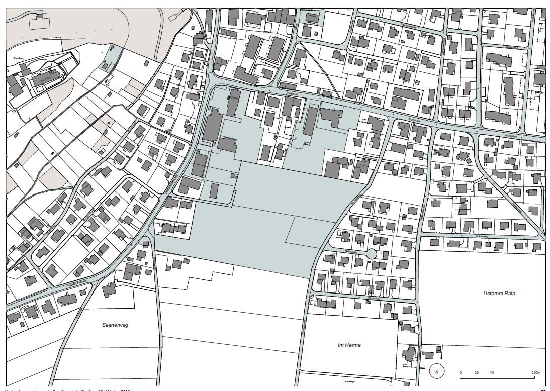
Die Pläne unten zeigen die Liegenschaften im Gemeindeeigentum sowie das Areal rund um die Schule.
Anklicken zum Vergrössern
Beitragsbild: Titelseite der Masterplanung



0 Kommentare zu “Masterplanung Gemeindeliegenschaften”